
Theo Trung tâm Dự báo Khí tượng Thủy văn Quốc gia, hôm 31/10, khu vực phía đông bắc Biển Đông đang chịu ảnh hưởng lớn từ siêu bão Kong-rey với diễn biến thời tiết đặc biệt nguy hiểm. Đã xuất hiện gió mạnh cấp 9 – 11, giật cấp 14, cùng với sóng biển dâng cao từ 5 – 7 m, gây biển động dữ dội trên khu vực. Đây là thời điểm các tàu thuyền cần đặc biệt chú ý khi hoạt động gần khu vực này vì cấp độ rủi ro thiên tai do gió mạnh trên biển đã được đánh giá ở mức độ 2.
Ngoài khu vực phía đông bắc, biển đông của khu vực bắc và giữa Biển Đông cùng vùng biển từ Quảng Trị đến Bình Định cũng ghi nhận nhiều biến đổi về thời tiết. Các khu vực này có mưa rào và giông rải rác, trong đó có thể xảy ra lốc xoáy và gió giật mạnh cấp 7 – 8. Đây là dấu hiệu của sự bất ổn trong thời tiết và cũng là nguy cơ lớn cho tàu thuyền hoạt động tại đây, nhất là khi di chuyển qua các vùng biển dễ chịu tác động từ siêu bão.
Table of Contents
ToggleDự Báo Thời Tiết Biển Đông Đêm 1/11: Sóng Lớn, Gió Mạnh, Nguy Cơ Cảnh Báo
Dự báo từ đêm 1/11, tại vùng biển phía đông bắc của Biển Đông, gió vẫn sẽ duy trì ở mức độ mạnh cấp 6 – 7, giật cấp 9, khiến sóng biển cao từ 2 – 4 m, biển động mạnh. Đặc biệt, tại vịnh Bắc Bộ, gió đông bắc sẽ gia tăng mạnh lên cấp 6, giật cấp 7 – 8, sóng biển cao 1,5 – 2,5 m. Biển động và gió mạnh sẽ duy trì vào ban đêm nhưng dự kiến sẽ giảm dần sau đó.
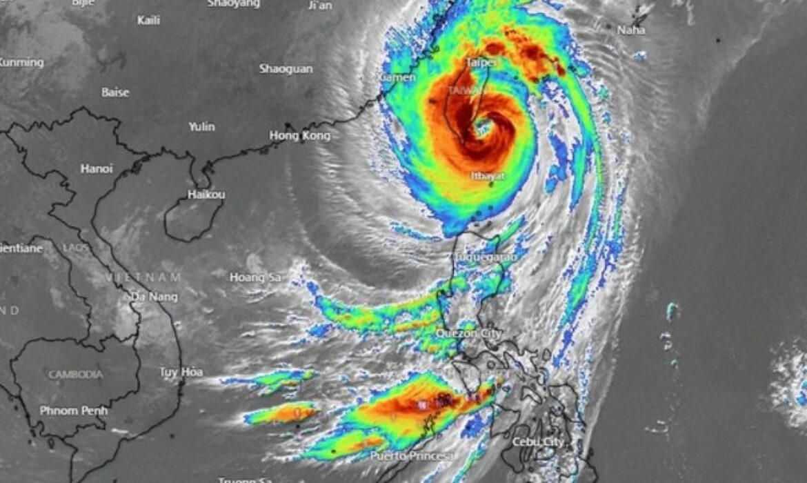
Siêu Bão Kong-rey Hướng Về Đài Loan và Tác Động Đến Khu Vực
Siêu bão Kong-rey, với sức gió giật mạnh gần 300 km/h, đã mạnh lên và dự kiến còn tăng cường khi tiếp cận Đài Loan vào hôm nay. Giới chức Đài Loan đã phát đi cảnh báo đặc biệt nghiêm trọng đối với cư dân ven biển và vùng núi. Cơ quan Phòng vệ Đài Loan đã chuẩn bị hơn 36.000 binh sĩ trong tình trạng sẵn sàng để ứng phó kịp thời với các tình huống phát sinh. Lãnh đạo Đài Loan, ông Lại Thanh Đức, khuyến cáo người dân cần tránh xa khu vực nguy hiểm để đảm bảo an toàn. Bão Kong-rey không chỉ gây ảnh hưởng đến các tỉnh ven biển mà còn làm gián đoạn cuộc sống, ảnh hưởng trực tiếp đến hàng nghìn hộ dân và cơ sở hạ tầng tại Đài Loan.

Hình ảnh về mắt siêu bão Kong-rey vẫn rõ rệt khi áp sát Đài Loan
Trước khi đổ bộ vào Đài Loan, siêu bão Kong-rey đã gây ra các cơn mưa lớn và gió mạnh tại đảo Luzon, Philippines, khiến hàng ngàn người phải sơ tán. Theo báo cáo từ giới hữu trách Philippines, số người thiệt mạng tại nước này đã tăng lên 145 người, với 37 người còn mất tích do tác động từ bão Kong-rey và bão Trà Mi. Các lực lượng cứu hộ Philippines đang nỗ lực tìm kiếm người mất tích và hỗ trợ người dân tái định cư.
Cảnh Báo An Toàn Trên Biển Đông: Những Nguy Cơ Tiềm Ẩn
Trung tâm Dự báo Khí tượng Thủy văn Quốc gia đặc biệt khuyến cáo ngư dân và các đơn vị vận tải biển nên theo dõi sát sao các thông tin dự báo thời tiết và chuẩn bị di chuyển đến các khu vực an toàn. Với cấp độ rủi ro thiên tai do gió mạnh trên biển đạt cấp độ 2, toàn bộ tàu thuyền hoạt động tại các vùng biển phía đông bắc Biển Đông và các khu vực gần siêu bão Kong-rey đều có nguy cơ cao phải đối mặt với lốc xoáy, gió mạnh và sóng lớn.

Hình ảnh về người dân Đài Loan đang chuẩn bị chống bão
Các biện pháp ứng phó khẩn cấp và phương án phòng ngừa đã được triển khai tại nhiều khu vực bị ảnh hưởng. Trong tình hình thời tiết phức tạp như hiện nay, tất cả tàu thuyền cần tuân thủ các hướng dẫn về an toàn, chuẩn bị đầy đủ thiết bị cứu hộ và tuyệt đối không ra khơi khi thời tiết diễn biến phức tạp nhằm đảm bảo an toàn cho thuyền viên và tài sản.
Hãy theo dõi draerp.vn và draco.biz để biết thêm thông tin/kiến thức mới!